陈锦绣:反腐败、反浪费、反消极工作将继续在党十四届二中全会上讨论 越南政府总理范明政主持召开国家重点交通工程指委会第24次会议 越南启动保障成品油供应机制 应对中东冲突长期化风险 党中央政治局、书记处对政府党委进行检查监督的《决定》发布 第十六届国会代表候选人名单(6号选举单位) 第十六届国会代表候选人名单(4号选举单位) 第十六届国会代表候选人名单(5号选举单位) 第十六届国会代表候选人名单(1号选举单位) 第十六届国会代表候选人名单(2号选举单位) 第十六届国会代表候选人名单(3号选举单位) 9家越南企业入选亚太地区500强企业榜单 越南政府总理范明政会见欧亚经济委员会执委会主席萨金塔耶夫 苏林总书记:构建经济两位数增长的“总体设计蓝图”

“桦加沙”超强台风过后 东海又迎来另一强大台风

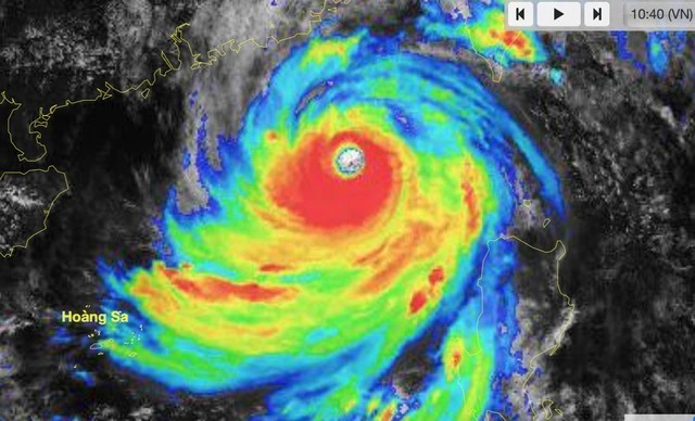
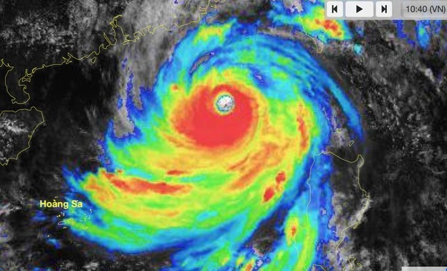
据气象水文预报中心消息称 : 9月23日上午9时许,“桦加沙”超强台风风眼位于北纬20.2度、东经117.7度之间,距离中国雷州半岛东面约790公里。最强风力达16至17级(相当于时速184至221公里)、阵风17级。

东海出现风力强达16级至17级的“桦加沙”超强台风。
东海出现风力强达16级至17级的“桦加沙”超强台风。

与此同时,据来自日本气象机关(JMA)更新最新消息显示,同日上午,在菲律宾东部刚出现一股热带低气压,并正朝菲律宾中部地区陆地方向移动,随后将进入东海。预计这股热带低气压将在9月26日至29日期间转强形成10号台风。

气象水文预报专家黎氏春兰硕士指出:这热带低气压很可能迅速发展形成台风,穿越菲律宾进入东海,并对我国陆地造成直接影响。其强度虽可能很大,但仍不及超强台风“桦加沙”。

由于这新的热带低气压位于“桦加沙”与“浣熊”两大超强台风之间,故受其显著影响。因此,在未来几天这股热带低气压的发展态势将更加复杂,需持续关注跟进。

相关阅读