陈锦绣:反腐败、反浪费、反消极工作将继续在党十四届二中全会上讨论 越南政府总理范明政主持召开国家重点交通工程指委会第24次会议 越南启动保障成品油供应机制 应对中东冲突长期化风险 党中央政治局、书记处对政府党委进行检查监督的《决定》发布 第十六届国会代表候选人名单(6号选举单位) 第十六届国会代表候选人名单(4号选举单位) 第十六届国会代表候选人名单(5号选举单位) 第十六届国会代表候选人名单(1号选举单位) 第十六届国会代表候选人名单(2号选举单位) 第十六届国会代表候选人名单(3号选举单位) 9家越南企业入选亚太地区500强企业榜单 越南政府总理范明政会见欧亚经济委员会执委会主席萨金塔耶夫 苏林总书记:构建经济两位数增长的“总体设计蓝图”

超强台风“桦加沙”进入东海,政府总理要求做好所有应对方案

预测9月25日,台风可能直接影响从广宁到河靖各省陆地地区

9月22日下午,政府副总理陈红河签署了政府总理的电文,要求各部委及地方主动应对超强台风“桦加沙”-2025年东海第9号台风。

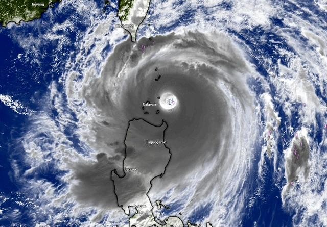
据国家气象水文预报中心表示,目前,超强台风“桦加沙”在菲律宾吕宋岛东面海域活动,预计将于当晚进入东海。预测9月25日,台风可能直接影响从广宁到河靖各省陆地地区。这是一场强度非常强、影响范围广的台风,即使台风中心距陆地300至400公里,也会伴随危险的阵风和雷暴天气。

超强台风“桦加沙”路径。
超强台风“桦加沙”路径。

在面对台风“桦加沙”的复杂且难以预测的演变,政府总理要求各部委和地方以高度责任精神来主动、紧急应对,在任何情况下都不能被动或措手不及。需要根据最坏的情况准备好所有方案和预案,确保人民的生命安全,降低人民和国家的财产损失。

55196651642428207459462797143286456562123935n-175850890133179158852.jpg
超强台风“桦加沙”进入东海(图:互联网)。

政府总理责成各部部长、从广义省到北部的各省市人委会主席密切指导防范台风工作;核查、更新应对方案,特别是广宁到广义沿海地区-预计可能发生非常强烈的台风风暴的区域。

广宁、海防、兴安、宁平、清化、乂安、河靖、广治、顺化等地方领导被要求推迟不必要的会议,集中全部精力指导台风应对工作。

相关阅读